CASA INDIPENDENTE CON CORTILE GIARDINO BOX E PORTICATI
€ 60.000
Cornale e Bastida, Pavia
Dettagli
Contratto Vendita
Rif IMMO-111359845
Prezzo € 60.000
Provincia Pavia
Comune Cornale e Bastida
Indirizzo Via Camillo Benso di Cavour 114">
Vani 6
Camere 3
Bagni 2
Classe energetica
G (DL 192/2005)
EPI 732.48 kwh/m2 anno
Riscaldamento autonomo
Condizioni da ristrutturare
Anno di costruzione 1946
Arredato si
Cucina abitabile
Consistenze
| Descrizione | Superficie | Sup. comm. |
|---|---|---|
| Principali | ||
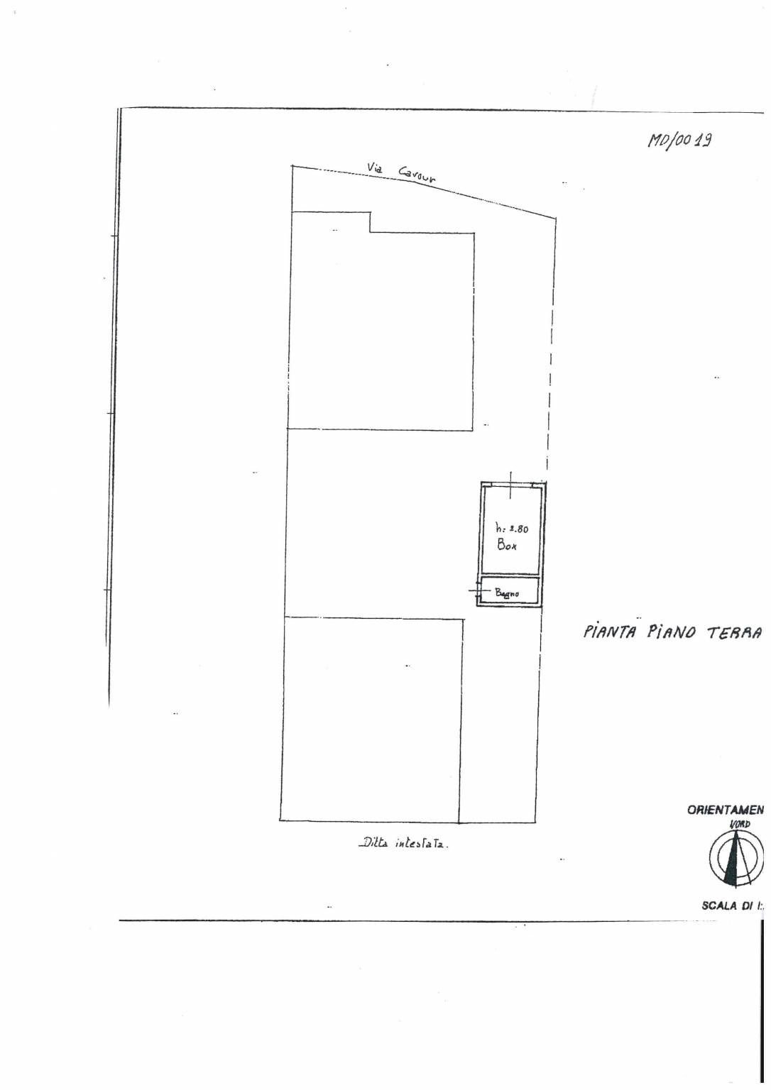
| Immobile - piano terra | 180 Mq | 180 Mqc |
| Totale | 180 Mqc | |
CORNALE E BASTIDA: A pochi minuti da Voghera e dallo svincolo autostradale, proponiamo in vendita una graziosa casa di campagna. L'abitazione si sviluppa su due piani: la zona giorno, al piano terra è composta da ingresso, soggiorno, sala da pranzo, cucina e due locali, mentre la zona notte, al primo piano è composta da tre camere, ampio ripostiglio e bagno. All'esterno, completano la proprietà un ampio cortile, con cascina ed ampio box auto, un bagno e per gli amanti del "bio" circa 2300 mq di terreno per cimentarsi in ogni tipo di coltivazione. Da ristrutturare. Libera subito. - Tutti i dati e le informazioni contenute e indicate nel presente annuncio non costituiscono elemento contrattuale. - Per maggiori informazioni e appuntamenti Agenzia Universo Immobiliare di Voghera in Via Giuseppe Garibaldi 75.
Contattare Matteo 3333215270
Visitate il nostro sito internet www.megauniversoimmobiliare.com
EFFETTUIAMO VALUTAZIONI REALI E GRATUITE DEI VOSTRI IMMOBILI.
AGENZIA DI VOGHERA VIA GIUSEPPE GARIBALDI 75
RICERCHIAMO IMMOBILI DI VARIE TIPOLOGIE IN VENDITA O LOCAZIONE PER LA NOSTRA SELEZIONATA CLIENTELA
OFFRIAMO VALUTAZIONI GRATUITE E SENZA IMPEGNO
GARANTIAMO MASSIMA PROFESSIONALITÀ E RISERVATEZZA
COMPETENZE QUALIFICATE
CONTATTARE IL TITOLARE MERCALDO MATTEO 3333215270
Pagina facebook dedicata dell'agenzia di Voghera https://www.facebook.com/profile.php?id=100087948392976
Contattare Matteo 3333215270
Visitate il nostro sito internet www.megauniversoimmobiliare.com
EFFETTUIAMO VALUTAZIONI REALI E GRATUITE DEI VOSTRI IMMOBILI.
AGENZIA DI VOGHERA VIA GIUSEPPE GARIBALDI 75
RICERCHIAMO IMMOBILI DI VARIE TIPOLOGIE IN VENDITA O LOCAZIONE PER LA NOSTRA SELEZIONATA CLIENTELA
OFFRIAMO VALUTAZIONI GRATUITE E SENZA IMPEGNO
GARANTIAMO MASSIMA PROFESSIONALITÀ E RISERVATEZZA
COMPETENZE QUALIFICATE
CONTATTARE IL TITOLARE MERCALDO MATTEO 3333215270
Pagina facebook dedicata dell'agenzia di Voghera https://www.facebook.com/profile.php?id=100087948392976
Richiedi maggiori informazioni
Mappa
Zoom della mappa
Apri con:
Apple Maps
Google Maps
Waze
Contattaci
MEGA Universo Immobiliare
Via G.Guintellino(ang.Lodovico il Moro), 1 20143 MILANO (MI)
Via G.Guintellino(ang.Lodovico il Moro), 1 20143 MILANO (MI)
P.IVA: 11285770159
0289128464





